居抜き店舗物件を紹介します。造作を高価で買取ります。
西荻窪 飲食可 2階 37坪 74万円
杉並区西荻南3丁目 物件番号 260401-52
JR中央線「西荻窪」駅 徒歩1分
駅南口近く、商店街、駅入口交差点前
2024年大規模修繕、スケルトン、元ホテル
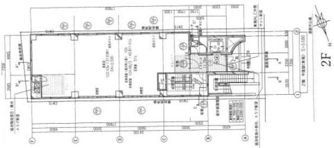
階数・面積 2階 37.04坪 (122.43㎡)
賃料 74.06万円(税別) 共益費 含む
保証金 6ヶ月 償却費 なし
契約期間 定借7年 再契約 相談可
礼金 1ヶ月 仲介手数料 1ヶ月(家賃)
業態 飲食可(業態相談)
引渡 相談
備考 ※エレベータあり、大きな看板設置相談可、重飲食可
※火災保険加入要。賃貸保証加入要検討。
※ネット等への転載不可。




※画像はGoogleから。現状とは異なる場合あり。
周辺地図:物件は明示していません。詳細はお問い合わせください。
